-
台风“桦加沙”来袭,广州塔1200吨“定塔神器”出现明显摆动
快科技9月25日消息,据媒体报道,受超强台风“桦加沙”影响,广州塔109-110层的被动调谐质量阻尼器出现显著摆动。
-
台风桦加沙|李家超:人员通宵工作,务求明早市民上班前市面恢复正常运作
超强台风“桦加沙”逐渐远离,天文台已于晚上8时20分改发三号强风信号。行政长官李家超今晚(24日)在社交平台发文,指政府不会松懈,正努力协调各部门全力应对风灾善后工作。相关人...
-
台风桦加沙 | 中电:仍有1350户停电,争取午夜前为大部分客户恢复供电
超强台风“桦加沙”逐渐远离,中华电力(中电)表示,工程人员正全速进行紧急维修,争取于今日(9月24日)午夜前,为大部分受影响客户恢复电力供应。
-
台风桦加沙 | 台湾警车暴雨中押犯自撞,诈骗通缉汉身亡
台风“桦加沙”掠过台湾时带来大暴雨,有警车在23日押送1名涉及诈骗案被通缉的男子时,疑因路面积水打滑,撞断交通灯,警车严重损毁,后座疑犯伤重死亡,车上2名警员则受伤。
-
台风桦加沙·灾情︱政府暂接437宗塌树、15宗水浸报告,62名市民风暴期间受伤
超强台风桦加沙影响香港,天文台9月23日下午2时20分发出八号西北烈风或暴风信号,十号飓风信号于24日凌晨发出,市面受飓风影响,有市民于风暴期间受伤。
-
台风桦加沙︱澳门人“内陆赶海”鱼获满满,网民笑称十号风球下成功加餐
超强台风桦加沙吹袭港澳,两地均一度发出十号风球,随后以八号信号取代。澳门多区水深及膝,市民在街道中捕鱼,不少人“赶海”成功,鱼获满满。
-
台风桦加沙︱黄埔酒店员工通宵留守,多年来见惯大场面:这次是小意思
超级台风桦加沙逐步远离本港,十号风球已改挂为八号风球。《星岛头条》记者在黄埔一带,见到不少餐厅有营业,包括中式酒楼、快餐店等,一间酒楼更吸引不少茶客暴风下前来饮茶。天文台...
-
台风桦加沙 | 深圳4时起解除“五停”状态,地铁恢复运营6-9分钟一班
台风“桦加沙”吹袭广东,毗邻香港的深圳同样出现恶劣天气。今日(24日)早,深圳多区出现冧树,需要由警员出勤清理。今日上午,深圳市口岸办发布消息,受台风影响,深圳口岸部分跨境...
-
台风桦加沙︱一家四口柴湾观浪3堕海,深圳渔民救人细节曝光
“桦加沙”吹袭香港期间,23日下午有一家四口在8号风球下,冒险到柴湾防波堤观浪,其中38岁母及5岁儿子被浪卷走,40岁父亲为救人同堕海。
-
台风桦加沙︱将军澳南海滨再现灾情,公园一夜浸满泥水,监控记录海啸式巨浪冲入餐厅
2018年超强台风山竹袭港,将军澳南海滨长廊曾成为重灾区,今次面对超强台风桦加沙,虽然政府与附近居民都已在风暴前夕架起水马、沙包阵抵御狂风。
-
广东出现超17级大风!腾讯企鹅被风吹走?最新回应
据“互联网联合辟谣平台”微信公号消息,9月23日,腾讯公司为了防御台风,将门口的企鹅用绳拴了起来。而有网民传播的图片显示企鹅只剩双脚,上身被风吹走。腾讯QQ回应:“鹅拴着呢,...
-
“打风不停市”掀中环抢订酒店潮,金融人避上班危险,文华及四季等全爆满
超强台风“桦加沙”袭港,港股首次于10号飓风信号下开市,香港大型国际银行包括高盛、摩根士丹利及汇控(00005.HK)在台风前夕,据报已告知大多数员工在家工作。
-
台风“桦加沙”过境,余承东秀起了“辅助驾驶”……
9月24日上午,台风“桦加沙”过境深圳。《星岛》注意到,华为余承东于当天上午在朋友圈发布视频,称自己在“台风暴雨中开着智驾去上班”。
-
台风桦加沙|各区灾情一览,海洋公园酒店玻璃被冲爆,红磡趸船撞岸、大澳水深及膝
超强台风桦加沙来袭,港岛东区、南区及低洼地区变为一片泽国,其中位于香港仔的富丽敦海洋公园酒店被“洪水”冲爆玻璃门,有人被海水冲跌,触目惊心。
-
台风桦加沙︱毋须“正面袭港”已吹飓风,战后十号风球生效时间第二长
超强台风桦加沙袭港,天文台一度发出十号飓风信号,至下午1时20分以八号信号取代。桦加沙影响香港时间长,飓风圈广阔,毋须“正面袭港”已导致天文台发出十号风球,是战后纪录较齐...
-
台风桦加沙︱港天文台下午1时20分改发八号东南烈风或暴风信号
台风桦加沙影响下,天文台今日(24日)凌晨2时40分改发十号飓风信号。桦加沙早上在香港约100公里外掠过,天文台下午1时20分改发八号信号。
-
台风桦加沙|大澳水浸至大腿,有居民全屋被淹,称“今次最犀利”
超强台风“桦加沙”吹袭香港,出现风暴潮。向来是水浸黑点的大澳,今次亦不能幸免。有居民家园“全屋浸晒”,水深两呎,雪柜被浸至浮起,厕所几被水淹没,有居民坦言,经历多次飓风...
-
台风桦加沙︱深井住宅外墙被吹落,西贡豪华游艇不敌强风,船头几被淹没
超强台风桦加沙袭港,对多个地区造成严重破坏。网上流传多段灾情片段,其中深井一带风雨猛烈,出现建筑物外墙剥落的状况;亦有游艇不敌风雨,几乎被海浪吞没。
-
台风桦加沙|风力超强网民称“地狱级风王”:从未如此不想放这个风假!
超强台风桦加沙来袭,自昨晚(23日)起超强风力横扫香港,港岛东区、南区及低洼地区变为一片泽国。不少网民在天文台的社交平台留言,指今次桦加沙风力强劲,堪称“地狱级风王”。
-
台风桦加沙|风暴潮淹浸海滨长廊掀巨浪,癫男竟穿泳裤迎浪戏水惹公愤
台风桦加沙攻港,将军澳海滨长廊遭风暴潮浸袭,大量海水倒灌淹浸大片长廊范围,掀起巨浪,一名男子竟穿泳裤迎浪戏水惹起网民公愤。
-
台风桦加沙|富丽敦海洋公园酒店巨浪涌入爆玻璃,有人被冲跌呼救:走呀
超强台风桦加沙袭港,有网民拍得位于港岛南区的香港富丽敦海洋公园酒店,遭巨浪冲爆玻璃窗,大量海水涌入酒店大堂内,其间有人被海水冲跌,一片混乱。
-
台风桦加沙︱港府暂接169宗塌树、1宗山泥倾泻报告,19市民风暴期间受伤
超强台风桦加沙逐渐靠近香港,香港天文台9月23日下午2时20分发出八号西北烈风或暴风信号。自下午起,风力开始变得强劲,海边地区浪势汹涌。十号飓风信号于24日凌晨发出。
-
台风桦加沙︱深圳大梅沙掀数米“海啸级”巨浪,最快下午台山到湛江登陆
超强台风“桦加沙”直扑广东。除了香港大部份区域出现巨风及暴雨,毗邻深圳亦受影响,大梅沙海滨公园亦掀起数米高的海啸级巨浪,情景恐怖。网传影片所见,有工作人员在公园内巡逻,...
-
台风桦加沙︱台花莲堰塞湖涌出6000个泳池洪水,增至14人身亡
“风王”桦加沙正开始吹袭香港及广东。桦加沙早前经过台湾时,造成花莲有堰塞湖溢流,涌出约6000个奥运标准游泳池的洪水,导致下游桥梁被冲毁。
-
台风桦加沙|受风暴潮影响,杏花邨及城门河海水倒灌
超强台风桦加沙正面扑向香港,周三(24日)清晨将在香港南面约100公里左右掠过。受风暴潮影响,香港沿岸水位急升,杏花邨及沙田城门河出现海水倒灌,多处马路水浸。
-
台风桦加沙肆虐港各区大合集,楼摇+天秤飞舞+彻夜风叫+海水倒灌,网民:真心恐怖
台风桦加沙扑港,十号风球高悬,各区网民纷纷直击“风王”肆虐画面,有人感到所住楼宇被暴风吹至摇晃,有人听到彻夜哀恸风声,有人见窗前不远处地盘天秤飞舞,杏花邨更有海水倒灌淹...
-
风王桦加沙︱香港一对母子被大浪卷入海
超强台风“桦加沙”吹袭香港,来势汹汹,天文台今午(23日)2时20分亦改发8号烈风或暴风信号,但仍发生市民因观浪而堕海的悲剧。今日(23日)下午3时25分,一家四口在柴湾嘉业街60号...
-
台风桦加沙︱杏花邨居民准备就绪,二十年来第一次玻璃粘胶纸
超强台风桦加沙袭港,天文台今午(23日)2时20分改挂八号风球。《星岛头条》记者八号风球后来到邻近岸边的水浸黑点杏花邨观察,下午刚转风球时,风势未算特别大,不过已不时有大浪涌...
-
台风桦加沙 | “山竹”阴霾未散,市民心有余悸,举家住酒店避险
超强台风桦加沙逼近香港,天文台今午(23日)2时20分改发八号烈风或暴风信号。八号风球下,不少商户提早关门,街上和商场人流明显减少。
-
台风桦加沙︱花莲堰塞湖涌出6000个游池洪水,71人受困2失踪
“风王”桦加沙正开始吹袭香港及广东。桦加沙早前经过台湾时,造成花莲有堰塞湖溢流,涌出约6000个奥运标准游泳池的洪水,导致下游桥梁被冲毁,71名民众受困,另2人失踪。
-
台风桦加沙|柴湾堕海现场巨浪拍岸极危险,杏花邨海水倒灌喷出巨大水柱
超强台风“桦加沙”来势汹汹,天文台今日(23日)下午2时20分改发八号烈风或暴风信号。其中在柴湾嘉业街60号仁孚行对开防波堤,记者中午时分现场所见,海旁巨浪涌现,越过防波堤涌入...
-
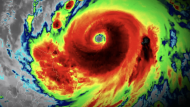
桦加沙超巨型风眼曝光!飞行服务队定翼机直击,穿越风眼核心捕捉内部结构
超强台风“桦加沙”吹袭香港,保安局今日(23日)社交平台分享,政府飞行服务队派出定翼机直击台风“桦加沙”中心,收集天气数据。定翼机穿过风眼时,拍摄到“桦加沙”内部结构,相当...
-
台风桦加沙|柴湾嘉业街一家四口观浪,母子堕海昏迷,父救人同送院
超强台风“桦加沙”吹袭香港,发生市民因观浪堕海悲剧。柴湾嘉业街60号仁孚车厂对开,今日(23日)下午3时25分,一家四口在柴湾防波堤观浪期间,疑大浪涌至,将38岁母亲及5岁儿子卷...
-
台风桦加沙︱“打风不停市”实施1周年,陈茂波:全力确保香港金融体系畅顺运作
超强台风桦加沙袭港,财政司司长陈茂波今日(23日)在社交平台表示,政府早已严阵以待并做好部署,包括启动财经事务及库务局辖下的协调中心,以确保在各种极端情况下,香港金融市场...
-
持续更新|港天文台发八号西北烈风或暴风信号,杏花邨直击超强台风桦加沙来袭
台风桦加沙即将逼近,天文台今日(23日)下午2时20分发出八号西北烈风或暴风信号。
-
台风桦加沙| 杏花邨海水倒灌喷出巨大水柱,柴湾海边巨浪涌上岸
超强台风“桦加沙”来势汹汹,三号强风信号现正生效,天文台今日(23日)下午2时20分改发八号烈风或暴风信号。一向是打风重灾区杏花邨,下午1时许海面已不时有2至3米高的浪涌上岸,水...
-
台风桦加沙︱天文台料明吹12级风,风力达飓风程度,一项数据更超越山竹?
超强台风桦加沙正逐渐逼近香港,预计明早(24日)将最接近珠江口一带。受其影响,明日将出现频密的狂风大骤雨、雷暴及显著风暴潮,海面会出现极巨浪及涌浪。
-
传言称台风“桦加沙”强度接近地球上限,气象专家回应
昨日,社交平台中有博主发布内容称,广东或遭遇人类最大的台风灾害,五级超强台风“桦加沙”达到新的峰值强度,最低中心气压为905 MBAR,这一强度已接近地球所能产生的上限。
-
台风桦加沙︱珠海向情侣路高层住宅发令,30楼或以上人员必须撤离
超强台风桦加沙逼近广东,各地均严阵以待。其中珠海香洲区政府对高层住宅发出撤离通知,指令情侣路沿线高层住宅(10层以上)小区人员撤离要求,其30楼或以上所有人员必须撤离。
-
台风桦加沙︱深圳地铁提前结束运营,尾班车傍晚6时从各线首末站点开出
台风桦加沙逐渐逼近广东,深圳地铁全线网将于今日(23日)提前结束运营。
-
台风桦加沙︱“巨兽”掠过台湾,网民:风王,当之无愧
强台“桦加沙”正通过巴士海峡、朝广东海面逼近。今日(23日)上午8时30分,台湾将于上半天逐渐脱离暴风圈,惟外围环亦为当地带来强劲风雨。
-
台风桦加沙|李家超落区视察南昌社区中心临时庇护中心,了解设施和运作情况
超强台风桦加沙即将影响香港,风力非同小可。行政长官李家超今早(23日)视察渠务署紧急事故控制中心及设于南昌社区中心的临时庇护中心,视察各部门应对超强台风“桦加沙”的准备工作...
-
台风桦加沙|将军澳双重挡水沙包阵应战,海滨豪宅贴“铁丝网式”胶纸防风,网民:打仗那样
超强台风“山竹”2018年袭港时重创将军澳海滨长廊,如今再面对另一股超强台风“桦加沙”,政府与附近居民都严阵以待。附着水马的双重沙包阵,已妥妥的放在两边大路出入口。
-
台风桦加沙|简约公屋单位会漏水?何永贤解画:组件出厂前经测试,接合位或要特别留意
天文台于今(23日)下午2时20分改发八号风球。房屋局局长何永贤今早(23日)在电台节目表示,房屋局严阵以待,职员亦加强巡查,地盘亦除稳妥现时的棚架物料外,亦已预计作出善后工作的...
-
桦加沙逼近深港超市现“扫货战”,深圳23日下午实行“五停”,港澳停课,大家注意安全
桦加沙逼近深港超市现“扫货战”,深圳23日下午实行“五停”,港澳停课,大家注意安全!
-
台风桦加沙︱打风开冷气危险?资深验楼师解构:有安全设计,惟抽气扇千万别开
超强台风桦加沙逼近,有关打风期间应否开冷气,一直是个疑问。楼宇检验中心总监赖达明今早(23日)在商台节目表示,一般冷气机都有安全设计,个人认为照开也未必是问题,但抽气扇就不...
-
深圳:今日14时起全市停工、停业、停市,20时起停运
今日(23日)上午,深圳深圳市防台风防汛紧急动员令2025年1号发布。9月23日下午在全市范围内实行“五停”,其中14时起停工、停业、停市,20时起停运,22日晚已开始停课。
-
台风桦加沙 | 为什么成为“风王”?中央气象台专家解构几大关键原因
今年第18号超强台风“桦加沙”正趋向华南沿海,预计将带来严重风雨影响。其极端强度形成得益于菲律宾以东暖洋面高海温、充沛水汽输送及较弱垂直风切变等多重条件叠加。与2018年“山竹...
-
台风桦加沙︱3号强风信号现正悬挂,今午2时20分改发八号风球
台风桦加沙即将逼近,天文台已在周一(9月22日)发出一号戒备信号,本港星期二、三天气将逐渐转坏,星期三吹烈风至暴风,离岸及高地可能达飓风,天气恶劣。
-
台风桦加沙|直击扫货潮最新画面,惊现50港元一斤菜,网民:饥荒吗?
台风桦加沙袭港,全城戒备,直至昨日(22日)下午及晚上,仍有不少网民分享各区扫货潮情况,有人用“惨不忍睹”来形容货架全清场面,多间面包店、肉店、超市等货架被“超前扫清”。
-
台风桦加沙︱明日提早封锁行人隧道,陈国基:水位一两分钟可淹盖隧道
超强台风桦加沙袭港,一号戒备信号现正悬挂,天文台预告今晚(22日)9时40分改发三号风球,考虑明午(23日)1时至4时改发八号烈风或暴风信号。政务司司长陈国基今午落区巡视落实防风...
-
台风桦加沙︱香港教育局宣布所有学校明日及后日停课
强度媲美“山竹”、“天鸽”的超强台风桦加沙逼近本港。天文台会在今日(22日)下午12时20分发出一号戒备信号,今晚9时40分将改发三号强风信号,并于明日(23日)下午1时至4时改发8号...
-
台风桦加沙|彭博:香港机场研周二傍晚起停飞36小时,机管局称正密切监察台风发展
台风桦加沙来势汹汹,今晚将发三号风天文台指桦加沙来袭时,届时沿岸水位可能与2017年的天鸽及2018年的山竹相若。国泰航空公布,已豁免周二至四航班(23日至25日),重新预订机票及...
-
台风桦加沙|直击香港超市扫货潮,菜肉面包近清仓,网民:好癫
台风桦加沙袭港,全城戒备,网民直击各区超市空前扫货情况,有超市付款人龙排到出门口,菜架肉架面包几近清仓。
-
台风桦加沙︱澳门“超前部署”提醒或停水停电,吁市民储3日粮食饮用水及电池,留意疏散撤离路线
超强台风“桦加沙”持续逼近广东沿岸,澳门政府今日(21日)已超前部署,政府新闻处多次发稿提醒澳门市民立即做好防灾准备。澳门警察总局民防行动中心指有可能发生停水停电情况,呼...
-
台风桦加沙|香港天文台:风暴继续增强,料周二天气开始转坏,周三离岸高地或吹飓风、天气恶劣
台风桦加沙即将逼近,天文台周日(21日)更新预测,指香港星期二、三天气逐渐转坏,星期三吹烈风至暴风,离岸及高地可能达飓风,天气恶劣。
-
台风桦加沙︱周三逼港料风力达时速210公里!若挂十号,将平一项尘封61年纪录
热带气旋桦加沙预料在本周三最接近香港,以“超强台风”强度逼近,路径对香港有严重威胁。
-
台风桦加沙 |香港航班及交通一文看,国泰、大湾区、香港航空豁免下周二至四改机票费用
台风桦加沙来势汹汹,香港天文台今日(20日)发特别天气提示,指桦加沙来袭时,届时沿岸水位可能与2017年的天鸽及2018年的山竹相若。
-
深圳地铁可能采取线路停运措施
深圳地铁集团运营部门透露,受“桦加沙”影响,深圳地铁接下来将可能采取线路停运措施。深圳地铁提醒市民,密切留意深圳地铁的官方微博、微信公众号、车站广播、现场告示等各个渠道发...
-
广东多地宣布停课、停工、停产、停运、停业
据广州日报报道,9月22日下午,广东召开全省抗击18号台风工作会议,要求全省各地各部门全面进入应急状态、临战状态。
-
台风桦加沙风速270公里成今年“全球最强风暴”,美气象局:可将大树连根拔起
超级台风桦加沙风力惊人,加拿大气候专家表示,根据卫星监测,桦加沙以每小时270公里的持续风速,成为2025年迄今全球最强的热带气旋,该风速已达美国气象部门萨菲尔—辛普森飓风等级...
-
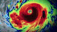
台风桦加沙 | 从太空直击超巨大风眼,厚重云墙如巨兽盘据,日籍航天员:担心地面情况
今年最强“风王”桦加沙(Ragasa)正掠过菲律宾北部,朝中国南方海域前进,所经之处掀起狂风巨浪。 这股惊人力量不仅牵动地面各国防灾神经,更震撼了在太空的观测者。
-
台风“桦加沙”已达17级并移向广东,多地预告“五停”
中央气象台9月22日8时发布的每日天气提示显示,今年第18号台风“桦加沙”(超强台风级)今晨5时中心附近最大风力有17级以上(62米/秒),中心最低气压为910百帕。
-
台风桦加沙︱广东省罕见吁“巨灾防御”,外围或现龙卷风
台风“桦加沙”料周二晚(23日)逐渐靠近广东沿岸,强度堪比“天鸽”“山竹”,除了香港可能面临恶劣天气,广东省各地均将受影响,省气象局已提醒民众,需提前做好巨灾防御准备。




