-
康妮台风重创苗栗,头份7成黑豆田全毁,农民生计陷困境
康妮台风重创苗栗头份,超过30公顷黑豆田全毁农民损失惨重。
-
花莲百年榕树“罹癌”不敌康妮倒地,县府急切气根续命
花莲市旧田浦车站文化园区有棵县府列管的百年老榕树,陪伴地方走过无数记忆,根部却因罹患“树癌”褐根病逐渐腐烂,最后不敌康妮台风“软脚”倾倒,令人不舍,期望县府能替它清创治疗...
-
康妮台风后蔬果价格高,北农释出8种平价蔬菜
为因应康妮台风袭台造成蔬果灾损,而引起的价格波动,台北市市场处要求台北农产公司启动购贮蔬菜调节供应缓和价格波动计划以平稳菜价,5日至11日止共计7日释出8种平价蔬菜约70公吨。
-
宜兰三星葱飙破历史天价,台风过后每公斤达790元
康妮台风过后,宜兰县三星地区农会运往台北农产运销公司拍卖的三星葱,5日每公斤最高价达790元,平均价492元,约历年同期的2倍,创下北农史上新高天价纪录。
-
板桥百年老榕树遭康妮台风吹倒,议员吁市府抢救
康妮台风袭台,造成新北市许多树木倒塌,包括板桥区数棵百年以上的老榕树,新北市议员黄淑君担心这些老树没有及时处理导致死亡,今(5)日将邀相关单位办理会勘,希望市府积极抢救,...
-
74年地标太鲁阁牌楼遭吊车撞,“东西横贯公路”6字全掉了
康妮台风过境,太鲁阁公园园内大量树倒,太鲁阁公园管理处为此动员大量人力展开复原工作,怎料昨天载运树枝的工程吊车不慎撞毁太鲁阁口被列为历史建物的牌楼,上方“东西横贯公路”6...
-
中横再崩!2区域沦孤岛50人受困,今空投720公斤物资
台8线中横公路东段因0403花莲强震重创,现正积极复健中,强台康妮却再度中断沿线道路,西宝、洛韶地区因土石崩落,联外道路崩塌沦为孤岛,50位居民受困其中。
-
南港CITYLINK“员工被吹上天”重摔,他后脑着地控没人理
强台康妮挟带凶猛风雨,台湾各地出现灾情,连台北市南港区购物中心CITYLINK的“大树爷爷”也被吹倒“提早退休”。
-
风灾清太慢,白昼之夜地板泥泞害跌倒,台北市文化局道歉了
2024年台北白昼之夜历经民众陈情噪音问题、康妮台风搅局,终于在3日凌晨2时顺利落幕,参与人数突破45万人次。
-
康妮台风冲击东部,“农粮署”估蔬菜供应量逐渐平稳
康妮台风造成多县市农损,台北农产运销公司统计,3日蔬菜平均每公斤价格49元。
-
康妮重创新北,16万户停电千户待修,侯友宜:拼今天复电
台风“康妮”造成全台多地树倒、停电,其中新北影响尤为严重,路树倾倒灾情为全台最多,停电也达16万户,而多处路树倒导致复电工作难度提升,时过3天至今(3)日新北仍有1千多户停电...
-
康妮重创新北!台电抢修遇虎头蜂阻挠,山区上百户待维修
康妮台风酿成新北市部分山区大量树竹严重倒塌压损供电设备。
-
康妮横扫台东长滨渔港,船筏受灾惨重船长曝原因
康妮台风横扫台东县东海岸地区,长滨乡长滨渔港、成功镇小港渔港受创惨重,渔船、胶筏翻覆沉没,数量逾60艘,唯独成功镇新港渔港损失甚微,渔民归功于防台措施万全。
-
台北累计树倒逾2600件,蒋万安下令今晚前完成复旧
台风康妮日前袭台,发生多起路树倒塌、建筑物磁砖掉落等事件,台北长蒋万安3日主持台风灾后复原第2次工作会报,他表示,市区主要干道须于今晚恢复,8米以下巷弄则于今晚完成复旧,邻...
-
康妮过后,台北灾情近5千件,树倒占一半
强烈台风康妮对北台湾带来大量降雨及风势,虽然已经离开台湾,不过对台北市的考验才刚开始。
-
康妮过后遭怨台北市容未恢复,蒋万安:周一前都能恢复
强台康妮远离台湾后,台北市仍在进行恢复市容的工作。不过有市民抱怨,至今市容没恢复,也没看到台军弟兄加入协助清运?
-
康妮台风重创台湾!绿色和平吁设“气候通膨补偿金”
今年数个台风登陆,导致农损严重,以此次康妮台风为例,截至今天中午为止已酿成4亿8730万余元农损,绿色和平呼吁政府应尽速建立气候通膨补偿金协助受灾居民与产业重建。
-
康妮重创兰屿绿岛!卓荣泰视察灾情,承诺加速复原
康妮台风挟强风暴雨侵袭台东县离岛地区,街道满目疮痍,“行政院长”卓荣泰今(2)日前往兰屿、绿岛视察灾损复原情形。
-
台风天手摇饮店遭窃气炸,祭悬赏“协寻逮获免费喝10年”
台南市中西区民族路3段一家手摇饮店,昨天(1日)开店时发现遭人入侵,歹徒破坏橱窗锁头,爬入店内偷走2万现金,店家爆气,逆向行销推出买一送一优惠,更公告若协寻逮获窃贼者,单茶...
-
11月1日列车大误点不是台风害的!台铁:号志员操作失误
康妮台风影响,台铁许多路段皆出现灾情,部分路段电车线受损,列车延误影响通勤民众,不过有民众称,昨早许多班次误点原因并非设备损坏,而是人为疏失,有号志员操作失误。
-
康妮重创台东三渔港!救助金“脱离现实”,渔民血泪喊救命
康妮台风强势登陆“成功”,台东县成功镇新港渔港、小港渔港及长滨乡长滨渔港受创惨重,至少60艘小型渔船筏翻覆沉没,“农业部”次长黄昭钦今(2)日前往勘查,坦承现行渔船筏灾害救...
-
康妮肆虐!新店、乌来灾情惨重,议员送爱心物资助灾民
康妮台风重创新北,尤其新店、乌来灾情惨重,多处路倒除了造成交通受损外,有多起压倒电杆造成停电,更有造成路边车辆损伤的状况。
-
名嘴轰“中央救灾重南轻北”!侯友宜这样回应
台风“康妮”10月31日狂风侵扰全台,造成多处路树倒塌、市容一片狼藉,当中新北更是全台路树灾情最多,急需“中央”支援,但却有名嘴指出“中央救灾重南轻北”。
-
康妮台风摧毁尖石2号桥,司马库斯樱花季恐泡汤
康妮台风过境,造成尖石乡司马库斯产业道路有两处严重坍方,尤其在10k处的尖石2号桥被冲毁,尖石乡公所抢修人员预计3日抢通到尖石2号桥断桥处,才能确认抢通方式,因道路全面复旧时程...
-
台北市蔬菜均价破51元,北农估:最快1周恢复稳定
康妮台风虽已远去,但由于全台各地皆有灾情传出,部分产地交通正在恢复中,尚未正常供货,导致北部今日供货量恢复不及,今(2)日台北市菜价一举大涨至51.2元(新台币,下同),比昨日(11...
-
康妮再添1死!全台累积3死690伤,尚有3万余户停电
尽管台风“康妮”已远离台湾,其造成的灾害仍持续影响台湾各地。
-
康妮台风南市农业灾损达2.7亿,陈亭妃跑透透勘灾、争取复建经费
康妮台风造成台南市农业灾损,市府农业局2日汇整农损2亿7540万9000元,当中渔业灾损最严重,损失粗估达2亿6000万元,另东山区东原2桥的桥基掏空,已封桥管制。
-
台东释迦农哽咽求政府出手救助,萧美琴允自行认定灾损
康妮台风重创台东县农渔业,尤其农民眼中的绿金“释迦”,冬季果收成恐无望,副领导人萧美琴今(2)日会同“农粮署”前往台东市果园勘灾,。
-
康妮过后供货量未恢复,北市菜价爆涨24.4%
受到康妮台风影响,各地交通仍未完全恢复,致使蔬菜供货量减少,据统计,2日台北市场蔬菜交易量仅有878吨、较平日的1000余吨明显减少,导致量少价扬,菜价较昨天一举上扬24.4%、每公...
-
台南蚵棚全军覆没,损失2.6亿,“立委”争取灾损补助
康妮台风袭台,台南沿海掀起巨浪,采浮筏式牡蛎养殖地的南区、安平区、安南区养蚵人家的蚵棚全军覆没。
-
山陀儿、康妮2台风接连补水,曾文水库满库百日,写历史新页
曾文水库在7月格美台风过境时曾达到满库,历经山陀儿、康妮2个台风补水,再加上南区水资源分署调度蓄水,1日蓄水位再5公分即达满水位,维持几近满库状态长达100天,创下历史新页。
-
云林超过500多公顷食用玉米因台风倒伏,云县府吁直接救助
云林县超过500多公顷食用玉米因台风倒伏,受损率达24%,是受损最严重的农作物。
-
高雄明霸克露桥又毁,桃源3里沦孤岛
受到康妮台风影响,荖浓溪水持续暴涨及玉穗溪土石流攻击,造成台20线南横公路明霸克露桥钢便桥冲毁72公尺,河床便道冲毁1公里,导致复兴等3里交通中断、成为孤岛。
-
康妮重创台东,饶庆铃铁人行程勘灾
台风康妮过境,造成台东农渔产业损失惨重,包括60艘渔船筏翻覆,释迦、脐橙、香蕉落果及稻米倒伏,农渔民苦不堪言。
-
台风天遭邻居“掏空冰箱食物”,单亲2宝妈傻眼
台风来临前,许多人会提前储备粮食,然而,日前一位单亲2宝妈却发现冰箱冷冻库的食物不翼而飞,一问之下才知道,原来是邻居进家门借食材,没想到对方竟趁她不在家,直接将冷冻库“掏...
-
“康妮”捣蛋!桃园万圣城回归续办,桃警加强交维措施
台气象署10月29日发布康妮台风警报,桃园市政府评估风雨威胁,决定10月30日(周三)起至11月1日(周五)“桃园万圣城”活动停展。
-
好消息!溪水暴涨南投4钓客失联2天,空勤今早寻获均平安
南投县4名叶姓村民10月30日至卡社溪钓鱼,原预计当天来回,当晚7时许打电话告知家人,回程遇栗栖坝泄洪加上山区降雨,导致浊水溪暴涨无法渡溪返家
-
CNN赞台湾防台风纪录好!谢寒冰惊吐“因有台风假”
台风“康妮”日前袭台,全台风雨都相当有感,10月31日全台放台风假,1日上班风雨虽停,但路树倒塌、招牌掉落等灾损恐达上千件。
-
新北尚有3000户停电,侯友宜感谢台电调度61工班抢复电
新北市长侯友宜今(2)日主持灾害应变中心工作会报表示,受台风影响,新北有16万户停电,感谢台电昨连夜调度台中工班到新北支援,共出动61工班、314人,为新北市民积极抢复电,13万户...
-
站着太累!康妮肆虐,台东铁花灯祭大白熊趴下休息
台风康妮过境,铁花灯之祭自10月30日起各灯区停止展出,台东县政府交观处表示,虽然台风前已加固,仍有部分作品受损,将视复原进度陆续恢复亮灯。
-
翡翠水库预留库容已回补,康妮降雨挹注6100万吨
台风康妮已解除台风警报,台北市翡管局长林裕益指出,翡翠水库于康妮台风陆上警报前2天,即提前进行预防性调节放水,约6100万吨,控留25%库容。
-
康妮过境抢修不及,北市动物园2日部分园区暂停开放
强台康妮过境,台北市各处传出灾情,其中台北市立动物园多处区域也传出重大灾情,11月1日虽动员人力投入复旧,仍有多处游客通道尚未能抢通。
-
三重区海砂屋不堪康妮摧残,女儿墙倒塌砸毁阳台
康妮台风31日带来强风豪雨,新北市三重区永安北路一处老旧民宅不堪一击,顶楼女儿墙被吹倒,直压楼下住户阳台,所幸无人伤亡。
-
风灾波及!竹溪哈赫拿尔森林公园受损,开放时间延后
竹溪哈赫拿尔森林公园原订4日开放,受强台康妮强风影响,部分树木及竹林断折,影响步道设施,台南市副市长赵卿惠今率市府团队勘查受损情况,估计需一周时间修复,决定延至11月11日再...
-
康妮17级强风狂袭!吹垮武岭亭、缴费亭,镜头君也阵亡
康妮台风在合欢山刮17级强风创纪录,合欢山武岭亭瓦片被吹落、武岭停车场缴费亭被吹趴等,林业保育署南投分署1日宣布,所辖合欢山森林游乐区将延至7日开园,奥万大森林游乐区9日开园...
-
慈恩七村铁皮屋顶遭吹落,三总着手修复、赔偿
康妮台风重创台湾,位在民生社区的慈恩七村,4层楼铁皮屋顶被吹落,堵住整条街,连对面社区3楼住户也遭殃。
-
台风康妮把文化大学宿舍阳台吹飞!网友惊:物理破房了
台风康妮昨日(10月31日)通过台湾,台北也吹起阵阵强风,造成不少路树倒塌、招牌掉落。
-
东北季风接棒康妮!雨弹炸3地,下周北部“下探19度”
康妮台风昨(10月31日)日刚离开台湾,明天(2日)东北季风增强,桃园以北、东北部地区及恒春半岛有局部短暂雨,东部及东南部地区有零星短暂雨,午后中南部山区有零星短暂阵雨,明天...
-
新店狂传树倒民众吓坏,侯友宜视察指示“优先抢通道路”
台风酿全台各地路树倾倒,民众外出时见市容一片狼藉也相当担忧人身安全,其中新北市新店区更是自昨日就不停传出路树倒塌灾情,民众也纷纷拍照上传相互提醒。
-
台风天踹倒一排机车,刺青男现身了!边嚼槟榔边道歉:别扯我爸妈
31日台风天,新庄一名20岁吴姓男子,趁机到路边踹倒数辆机车,事后还得意上传影片,称“台风天倒几台车很正常吧”,遭网友转贴至脸书后引爆众怒进行肉搜,如今吴男出面现身道歉,边嚼...
-
康妮台风致灾,全台还有3.4万户停电,农损逾2亿
康妮台风远离,经济部门统计,截至今(2)日上午6时,全台曾停电用户数达93万4424户,已复电89万9937户,待修复3万4487户,复电比率96.31%。预估2日晚上11时完成。
-
康妮横扫!中横83K成断崖,整面山壁不见了
康妮台风远离,却重创台中市梨山地区,造成台7甲线及中横灾情严重。
-
诚意太粗暴!酷航遇台风无法降落,冲新加坡爽住5星级饭店
新加坡航空旗下廉航“酷航”一架班机,日前从日本东京飞往桃园机场,机上有超过200名乘客,却因台风迟迟无法降落,最后该航班直接冲回新加坡,后续航空公司提供所有旅客2晚5星级饭店...
-
台风过后,台南运河漂一大片死鱼,市民崩溃:有够臭
康妮台风袭台后,有台南民众发现昨天安平运河出现大量死鱼,整片尸体密密麻麻漂在水面上,台南人经过直喊“有够臭”。对此,台南市环保局表示,研判近日台风侵袭,造成运河浊度提高影...
-
康妮掠过北台,3千余户仍停电,台电持续抢修
台风挟带强风大雨于31日席卷北台湾,导致多处路树倒塌压坏电杆,造成大范围停电。
-
康妮灾后注意!专家:不排除12月初仍有登革热
康妮重创台湾,造成2人死亡,许多地方淹水、树木倒下,忙著善后。
-
康妮强风侵袭!基隆义一路招牌遭强风吹落,惊险画面曝光
今1日凌晨,基隆市义一路段发生招牌掉落意外。
-
台风过境!“无名英雄”深夜清路树苦喊1句,网见背影眼眶湿了
台风强袭全台,双北难得刮起强烈阵风,各地也因此传出路树倒塌、铁皮飞走、招牌脱落等事故,街道更是一片狼藉。
-
康妮台风最新灾损! 全台2死580伤9993件灾情,4钓客持续失联
“康妮”目前对台湾造成的影响已逐渐趋缓,惟沿海仍有长浪、强风发生,据灾害应变中心统计至今(1)日下午1时许,全台共计2死580伤、9993件灾情。
-
康妮肆虐桃园!龙潭警接获破百件路树倒塌灾情
康妮强台来势汹汹,暴风圈涵盖全台湾,各地灾情频频传出,桃园市龙潭警分局方台风期间,接获破百件民众通报路树倒塌、招牌掉落、电线走火等多件灾情,不畏风雨协助排出障碍
-
新北路树倒塌灾情全台最惨,侯友宜急令优先清除危险树
台风“康妮”昨日狂风侵扰全台各处,酿成多处路树倾倒等灾情。
-
强风吹翻铁梯!泰籍移工摔落惨死,桃园唯一康妮死亡案
康妮台风来袭,其中47岁在桃园观音的泰籍移工,昨天下午3时许,施工时从高处摔下送医不治。桃园市长张善政1日在议会备询时,民代关心风灾状况,该移工也是这次台风中,唯一死亡的民众...
-
中和男台风夜修屋顶坠楼亡不列新北“死亡灾情”,消防局这样说
台风“康妮”昨日晚间带来强烈风势,多地传出灾情,甚至一夜就有2起命案,分别为台北市内湖区男子买晚餐遭电线杆压伤身亡,以及新北市中和区男子爬5楼修屋顶坠楼身亡。
-
海科馆望幽谷土石崩塌、楼梯裂痕,封闭步道至明年9月
强烈台风康妮袭台,位于海洋科技博物馆内的知名景点“望幽谷步道”先前山陀儿台风来袭就有受损尚未复原,这次又有强风豪雨,导致边坡大量土石崩落,使步道设施损坏、楼梯产生裂痕。
-
台风强到把“洗衣机盖吹走”!女主播:热水器也坏
康妮台风昨(10月31日)横扫全台,夹带的狂风大雨造成各地灾情不断。
-
台风过后需要修复假?商总理事长喊“不好”,揭背后原因
今年以来台湾面临多次台风,台风假考验地方政府的智慧,放台风假没有出勤要不要强制支薪成为社会讨论议题。
-
东北季风接力,下周探16度,气象粉专:可能还有台风
康妮台风远离,周末假期(2、3日)恢复东北季风影响的天气型态,迎风面北部及东半部有局部短暂阵雨,白天舒适、早晚凉。气象粉专表示,下周一到周三(4至6日)东北季风偏强,北部清晨...
-
康妮过后大新竹1117户仍停电,台电深入山区抢修中
康妮台风强风豪雨重创新竹山区,台电新竹区处统计,截至1日下午1时止,新竹地区累积曾停电户数达1万2649户,目前仍停户数1117户,几乎都集中在尖石地区,占目前停电户9成。
-
康妮后续威胁,疾管署:北部慎防登革热升温
康妮台风狂袭全台,各地灾情频传,台北更有约2000处路树倒塌。
-
苏花铁公路中断海运疏运启动,下午受理登记
受康妮台风影响,花莲北上铁公路都中断,台9线苏花公路预计明天才能抢通。
-
康妮过境台北多处路树倒塌,警方增派213人疏导交通
康妮台风过境,造成台北多处路树倒塌灾损,为避免影响1日交通壅塞,台北警局今早除派遣298岗(使用警力156人、义交202人,合计358人)外,另增派疏导岗194岗(使用警力213人),以及...
-
风灾通勤迟到怎么办?新北劳工局吁:不扣薪不扣全勤
康妮台风造成大量路树倒塌、招牌掉落,新北今(1)日早恢复上班上课,各地均有交通受阻情形。
-
康妮台风影响交通,侯友宜吁双北企业主对迟到员工勿扣薪
台风康妮为新北市带来2096件灾情,已结案1122件、974件处理中,新北市长侯友宜盼今(1)日晚下班前能恢复新北市容,并呼吁双北企业主,对于迟到的员工不能扣薪责骂,也勿扣全勤奖金。
-
新庄20岁刺青男台风天踹车!机车行衰遭波及急澄清:不认识
康妮台风侵袭台湾,各地皆有零星灾情传出。新北市新庄竟有一名20岁吴姓男子,趁着台风天恶作剧,故意踹倒路边机车,同行友人拍下影片PO网,嬉闹地说“台风天倒几台很正常吧!”
-
香米软脚倒一片!康妮西南风刮一夜,云林稻农损失惨重
“香米”软梗很怕强风,云林县西螺镇的香米田疑受康妮台风西南风强刮强扫,几乎全面都倒,其余品种受损较小,稻农表示,香米稻梗软怕风,康妮吹北风时还安然无恙,但昨晚刮南风、下大...
-
康妮肆虐北市堤顶大道21处树倒,内湖警漏夜锯树移除
强台康妮昨天(10月31日)晚上风雨稍缓后,内湖警分局为了上班日交通能顺畅,连夜路况查报,今天(1日)凌晨1点许,发现内科大动脉堤顶大道共有21处路树倾倒,恐严重影响交通。
-
窗破柜倒,“立法院”也成台风受灾户!韩国瑜急指示“2件事”
受台风“康妮”影响,对双北地区带来灾情,而今(1日)路上不少路树倾倒在车道上,影响交通,“立法院”周边除也有树倒灾情外,院内也受影响。“立法院长”韩国瑜今早提醒记者“大家...
-
钓鱼遇溪水暴涨4人失联,搜救队林道挺进入山寻人
南投县仁爱乡法治村有4名村民,前天(10月30日)至卡社溪钓鱼,遇到武界坝洩洪,浊水溪暴涨无法度溪,得知其位置在帕那巴拉杜后失联,家属昨报警,迄今仍联系不上,研判帕那巴拉杜无...
-
康妮暴力袭台!梨山联外交通受创,逾3000户停电
康妮台风10月31日暴力侵台,造成台中市和平区联外交通严重受创,尤其台八线77公里灵甫桥处,发生大规模坍方及土石流交通受阻,86.2公里处电杆折断,自昨迄今仍逾3000多户停电。
-
康妮风势太强!女骑士经野柳隧道“出不来”,警出动护送
康妮台风31日登陆台湾,新北市野柳地区吹起13级阵风。
-
收入全泡汤!康妮肆虐宜兰,农作物遭淹没、水伤
宜兰县受康妮台风影响,兰阳溪两侧高滩地青蒜等农作物遭淹没、水伤,县长林姿妙今天(1日)偕同花莲农改场等单位前往壮围、五结等地勘查农作物受灾情形。
-
台北放不放台风假,蒋万安公告藏1亮点,内行揭原因
昨(10月31日)全台放台风假,今天除了部分地区继续停班课以外,大多正常上班上课,台北市长蒋万安昨晚8点在脸书公布消息,眼尖网友发现,只要宣布停班课,图卡上就会出现蒋万安的照...
-
台风袭又地震,台铁花莲吉安志学区间封锁抢修
花莲县昨天遭台风“康妮”侵袭,今天凌晨又发生规模5.5地震,台铁东部干线多处灾损,目前吉安与志学暂时封锁,富源与光复间、景美与北埔间电力设备受损,台铁今早启动花莲站到瑞穗公...
-
台铁多路段受损,北回线、花东线抢修中
康妮台风离台,环流影响仍持续,紧接著又遇上地震,台铁各地灾情频传。台铁公司今表示,纵贯线、南回线及宜兰线已复驶,但北回线、花东线及其他部分路段,仍在抢修中。
-
康妮远飏新北仍有万户停电,侯友宜一早视察:努力恢复市容
台风康妮远飏,新北市传出近2000件灾情,多处路树、围篱倒塌,目前尚有约万户停电,新北市长侯友宜今(1)日视察交控中心,关心灾防及交通状况。
-
康妮台风过后首日通勤潮,芦洲警动员百人维持交通顺畅
康妮台风带来的间歇性风雨已于今(1)日深夜逐渐远离,全台各地恢复正常生活,新北市宣布正常上班上课。
-
为什么高雄有灾后重建假,双北上班族气炸
康妮台风昨(10月31日)日肆虐全台,因其强度迅速减弱,今日仅部分小区域持续放台风假,但各地一早上班、上课的民众纷纷遇到交通受阻的状况,网友忍不住抱怨,明明高雄就曾以灾后重建...
-
苏花公路大坍方,汇德隧道口“剩一条缝”,惨况曝光
康妮台风肆虐,台9线苏花路廊有多处落石坍方、土石流灾情,最严重的是161.3公里处、汇德隧道北口遭土石淹没,土石量体达到1万2000立方公尺,预估明天中午12时抢通,其余路段今天上午9...
-
康妮重击!台东全县渔港惨不忍睹,逾60艘渔船受创
台风康妮扫过东海岸,台东县最北端的长滨渔港损失惨重,沉没、漂流的渔船超过30艘,成功镇约30艘,渔民欲哭无泪,一早大风大浪,港内塞满漂流木。
-
康妮袭台,台中6.6万户停电,55人滞留山上
康妮台风在台中地区刮起阵阵强风,截至10月31日傍晚5时,累计6.6万户停电,仍有7715户处于停电抢修中;另外,台中梨山、武陵与中横便道都有土石崩落而封闭,更有55人因此滞留山上续住...
-
康妮袭台,板桥慈惠宫牌楼倒塌,新北灾情966件
康妮台风10月31日下午1时40分从台东登陆,全台笼罩在暴风圈内,新北市灾害应变中心下午举行工作会报,截至昨日晚间7时30分,新北市灾情共有966件。
-
台风天恶作剧踹倒机车,无聊男子惨了被法办
昨天(10月31日)全台面临康妮台风侵袭,各地皆有零星灾情传出,不过就在大家战战兢兢防台之际,新北市新庄竟有1名20岁吴姓男子,趁着台风天恶作剧,故意踹倒民众停在停车格的机车。
-
强台康妮来袭!太鲁阁山区惊魂,捷克夫妇今天获救
强台康妮来袭前夕,来自捷克夫妇申请进入太鲁阁登山,未料失去联系,太管处透过警方协寻、定位手机找到两人,所幸人都平安,在山区躲过台风。
-
台风夜桃园坠楼意外!15岁男学生高楼摔落地面命危
康妮台风昨夜通过台湾,强劲风雨持续凌晨才稍微减弱,但桃园芦竹区一处大楼却发生坠楼意外。
-
康妮台风袭台,合欢山17级狂风,大树塌压车1死1伤
康妮台风来袭,合欢山昨刮起17级强阵风,刷新合欢山气象站站史纪录,南投县仁爱乡台14甲线中午有小货车返家避灾途中遭倒塌的大树砸中车头,男驾驶轻伤,副驾驶座的泰籍女移工不幸丧生...
-
康妮扑台东,路树、富冈渔港掀10米巨浪
强台康妮直扑台湾,台东县首当其冲,强风威胁甚钜,兰屿气象站10月31日清晨测得阵风逾17级,风速仪当场阵亡,全县各地频传路树倒塌、物体飞落灾情。
-
台风吹落心血,彰化果农含泪
彰化县白柚正进入采收期,尤其在霜降过后,更是白柚最好吃的时节,却碰到康妮台风来搅局,面对结实累累的果树,果农前几天就找人帮忙为果树加固,也加紧采收已成熟的果实。
-
台风夜彰化仓库火警,波及3轿车及6民宅外墙
今(1)日清晨康芮台风夹带的风雨未歇,彰化县社头乡员集路四段一间铁皮仓库,却在清晨3时许发生火灾,火势在风势助长下猛烈窜烧。
-
台风康妮袭台增至3死逾500伤,今或浙江登陆
台风康妮吹袭台湾,增至3人死亡、515人受伤。
-
吓死人!新庄顶加铁皮遭吹落,整片屋顶从5楼垂落马路
康妮台风虽然已经离台,但是后续风势不容小看。
-
康妮登陆强风袭击新竹! 游艺场“装潢外皮”倒塌4车遭埋
昨日13时40分许,强台康妮在台东县成功附近登陆。预测台风将朝北北东方向移动,全台均笼罩于其暴风圈范围内,而新竹地区也在台风登陆后刮起猛烈狂风。
-
生死瞬间!“信义区大楼玻璃”遭吹爆,住户带爱犬奔逃
康芮台风昨(31)日袭台,强风暴雨为各地带来不少灾情。
-
康妮台风酿2死515伤6917件灾情,4名钓客入山失联
“康妮”登陆后强度有持续减弱趋势,目前已转为轻度台风,据台灾害应变中心统计至今日上午7时,全台共计2死515伤、6917件灾情。
-
康妮登陆掀恐怖狂风!媒体人揭“路人惨状”
昨日下午1时40分许强台康妮从台东成功登陆,许多县市传出不少灾情。
-
康妮袭基隆爆灾情,七堵民宅地基下陷,谢国梁急勘灾
强烈台风康妮袭台,基隆市今日强风豪雨不断,市长谢国梁一早坐镇灾害应变中心,下午至七堵视察地基下陷灾情,并指示要先确保民众安全,尽快完成救灾,恢复日常。
-
台名嘴逆风喊“台风假是人祸”,网友两派意见杠上了
康妮台风强袭,各地灾情频传,灾情已造成至少3人死亡、70多人受伤。
-
台风夜能唱KTV不能听刘德华?游淑慧叹:市府只管自己不出事
强台康妮10月31日来袭却与天王刘德华演唱会“强碰”,台北捷运公司与主办单位沟通后,演唱会于开演前4.5小时喊卡,令粉丝错愕,痛骂北市府太过分,主办方随即宣布在11月2日中午补办,...
-
刘德华演唱会急喊卡,侯汉廷3点批蒋万安:吃力不讨好
台风康妮31日来袭却与天王刘德华演唱会“强碰”,台北捷运公司与主办单位沟通后,演唱会于开演前4.5小时无奈喊卡,令粉丝错愕,痛骂北市府太过分。
-
康妮袭台,王鸿薇曝选区灾情:松山医院宿舍屋顶倒塌砸车
康妮台风袭台,在台北出现多年来罕见的强烈阵风,也在各地造成不少灾损。
-
台风康妮|台东登陆酿1死73伤,近1万户一度停电
康妮台风已于昨天(31日)下午1时40分在台东县成功镇登陆,目前已造成1人死亡、73人受伤。康妮风强雨骤,全台湾一度超过20万户停电,目前还有96257户修复中。
-
康妮一来火力发电竟飙94%! 郭正亮惊喊:天啊“缺口多大”
康妮台风10月31日袭台,有网友发现绿电基载量力不足,火力发电占比高达 94.452%。
-
英美追风人置身康妮台风眼捕捉“短暂宁静”,台湾这点他大赞
今年第21号台风“康妮”(Kong-rey)周四(31日)午后以强台之姿在台东成功登陆,狂风暴雨全台有感。
-
康妮发威,6万户停电,石门水库泄洪,桃竹苗山区千人撤离
强台康妮袭台,丰沛雨量让石门水库暌违2年再度泄洪,不过强风骤雨也带来不少灾情,桃竹苗山区10月31日有近千人预防性撤离,累积逾6万户停电,各地都传出路树或招牌倒。
-
星宇航空“落地弹跳”重飞,惊险画面曝光,公司回应了
康妮台风带来狂风暴雨,不少航班受到影响,星宇航空一架JX871从冲绳飞回台湾的班机,昨傍晚在桃园机场降落时遇到一阵强风,导致机身大力摇晃,机翼差点擦到跑道,紧急重飞后安全降落...
-
太扯!新光三越A9馆“整座灯箱”扫到台风尾横躺车道上
昨10月31日下午1时40分许,强台康妮从台东成功登陆后,各地传出不少灾情,没想到康妮台风眼虽已离台湾,其“台风尾”带来的强风,竟然将台北市信义区新光三越A9馆的整座灯箱吹倒,且...
-
台风天重飞改降高雄,华航地勤蹲姿和旅客沟通
31日下午1时40分许强台康妮从台东成功登陆,许多县市传出不少灾情,今天多架班机出现取消或出发抵达时间异动情况。
-
康妮一路狂奔,双北午夜过后,瞬间无风无雨
康妮31日晚间6点后出海,一路往北加速,遇到北方冷空气南下,台风因海温低导致强度迅速减弱,1日凌晨2点转为轻度台风。
-
竹北24楼住户肉身与康妮拔河,人群搏命拉住阳台!现场超惊险
新竹地区昨午后受到台风“康妮”的强烈影响,局部地区吹起10级以上的阵风,尤其在竹北市,办公室林立,形成强劲的高楼风切,令多户民众的玻璃阳台面临随风飞走的险境,甚至差点向外砸...
-
强台憾事!冒雨修理5楼铁皮屋顶,中和男子意外坠落爆头亡
新北市中和区31日晚间传出男子坠楼,头部重创当场死亡。据悉,死者系到自家5楼顶修理铁皮屋顶,当时正值风强雨骤,男子不慎从5楼高处坠落。
-
康妮扑台,网见“火力发电将破95%”吓坏:刚刚直接压降
预计明年除役的台电核三厂,1号机已在今年7月27日停止运转除役,2号机则从21日起开始进行第28次大修作业,工期预估约41天。台电各机组发电量显示,目前全台核能发电量为“0”,台湾暂...
-
台风过后上班课,台铁大误点,汐止区间车晚30分
康妮台风威力减弱,今(1)天仅少数地方持续放台风假,但因为灾情尚未恢复,各地上班交通大乱,其中台铁列车一早就大误点,汐止区间车误点近30分钟,还有多辆列车直接停驶,让网友哀...
-
台风尾猛炸!苗栗泰安乡狂风大雨,县府急宣布停班停课
受康妮台风尾影响,苗栗县凌晨开始出现狂风大雨情形,对此县府表示,泰安乡受到持续豪大雨影响,为顾及乡民安全以及善后家园,停班停课1天。
-
康妮再增1死!内湖强风“树倒扫电杆”压死无辜男骑士
台北市内湖区文德路22巷内31日晚间8时许,发生大树被强风吹倒,电线杆被波及跟著倒塌,不幸压到一名路过男骑士,造成骑士当场失去生命迹象。
-
酿1死73伤!康妮袭台“灾情破千件”,韩国瑜吐8字回应了
31日下午1时40分许强台康妮从台东成功登陆,许多县市传出不少灾情,昨天多架班机出现取消或出发抵达时间异动情况。
-
台北树倒成路障! 网友一早涌蒋万安脸书吵翻:怎么上班?
康妮台风造成台湾各地出现不少灾情,而今(1日)台北市正常上班上课,但有民众一早出门上班就发现路上一堆树倒情况,忍不住到台北市长蒋万安脸书留言。
-
狂风17级“康妮”登台,至少1死73伤
超强台风“康妮”于昨日下午1时40分左右在台湾台东县成功镇附近登陆,风暴圈笼罩全台,花莲等多地狂风暴雨。
-
台风康妮肆虐台东,丰荣“国小”车棚钢柱连根拔起躺路边
强台康妮直扑台东,台东市丰荣“国小”车棚不耐强风,包括铁皮及原固定在地面的钢柱都被连根拔起,横躺在校园外马路上,吓坏附近住户。丰荣“国小”校长毛慧莉强调,考量人员安全,待...
-
惊悚影片曝光!板桥慈惠宫庙牌楼“瞬间应声倒塌”,车辆险遭殃
强台康妮今(31)日下午1时40分从台东成功镇登陆,各地风雨持续增强。
-
台风夺命!南投仁爱乡路树倒塌砸小货车,女乘客身亡驾驶轻伤
受康妮台风影响,南投县陆续传出灾情,仁爱台14甲线约0.3K处树木突倒塌直接砸中一辆小货车,驾驶轻伤,但女乘客OHCA,送医抢救后不治;另仁爱乡投89线14.8k处因土石流无法通行,仁爱...
-
无惧康妮台风影响刘德华照开唱,名作家批:压力转嫁给整个社会承担
华语天王刘德华(华仔)无惧强台康妮台风影响,今(31日)晚按照原定计划登上小巨蛋开唱。买票的歌迷很开心,不过知名作家谢知桥发文批评,这简直是“把压力转嫁给整个社会承担”。
-
台风康妮13:40台东登陆,狂扫15级暴力强风
强台风康妮于下午1点40从台东成功镇登陆,各地风雨持续增强,北部、东半部严防强风豪雨,南部地区在台风登陆后风雨也会明显增强;气象粉专提醒,台东及南花莲地区务必小心15级以上猛...
-
花莲暴雨!花莲大桥“水位逼桥面”全面封闭,洪水画面曝光
强台康妮下午即将登陆花莲与台东交界处,花莲凌晨起开始强风豪雨,各地雨量惊人,横跨花莲溪口的花莲大桥水位逼近桥面,几乎接近封桥水位10公尺线,公路总局考量花东地区雨量恐会继续...
-
康妮台风来袭,嘉义百货停业、大卖场涌抢购潮
强台康妮扑台,今天嘉义县市放台风假,耐斯、新光三越、远百及秀泰4家百货公司暂停营业,大卖场都照常营业,很多民众趁着上午间歇性强风雨势,涌入大卖场买泡面、干粮等民生物资,小...
-
破坏画面曝光!康妮风力惊人,芦洲“一排机车”全吹倒扑街
强台康妮直扑逼近,今(31)日上午8时中心位于鹅銮鼻东方约130公里处,并向西北转北前进,暴风圈笼罩全台22县市,为各地带来强劲风雨。
-
康妮台风未到金门先酿祸,竣深工作船遭浪袭半沉
台风“康妮”今(31)日中午12时的中心位置约在台东的东方约50公里处,以每小时21公里的速度向北北西转北北东进行,近中心最大风速每秒51公尺,相当于16级风,瞬间最大阵风更达每63公...
-
惊人画面!花莲瑞穗大排溢堤,泥水淹没路面直灌住户
强台康妮袭台,暴风圈目前已经笼罩全台,中心距离台东仅剩下70公里,花东两县首当其冲,凌晨起开始强风豪雨,花莲瑞穗乡瑞祥村大排从山上冲刷下的泥流暴涨,滚滚泥水淹过路面,成为一...
-
康妮强袭花莲!吉安乡电杆连根拔起,货车惨被吹翻倒路中
强台康妮袭台,暴风圈目前已经笼罩全台,中心距离台东仅剩下70公里,花东两县首当其冲,凌晨起开始强风豪雨,造成不少灾情。
-
康妮来袭台北连放4天假?蒋万安:晚上8点宣布
强烈台风康妮侵袭台湾,全台都将在暴风圈范围内,31日全台湾都停班停课。不过外界关注,11月1日康妮仍会影响台湾,是否有可能续放台风假?
-
康妮未登录已酿惊人雨势,员山子分洪道清晨分洪
康妮强台直扑台湾,未登陆就带来惊人雨量,员山子分洪道今(31)日凌晨1时许便已达警戒水位62.5公尺、并于今天上午7时启动分洪,是今年第5次分洪。
-
“康妮万箭穿心”登陆花东!专家点名2原因:台湾陆地很难躲掉
轻台康妮目前位于马尼拉东北方海面,以偏西转西北西的方向朝台湾东方海面前进,有持续增强为中度台风的趋势,预计周三至周五(30日至11月1日)影响台湾。
-
康妮势“升级”成超级台风,料周四直扑台湾
香港天文台表示,热带气旋康妮会在未来两三日大致移向台湾以东海域,预料周四会升级为超级台风。台湾气象署预料,康妮周四、周五对台湾影响最剧烈,预估从东部登陆,13个县市放台风假...
-
台风会登陆!气象署最新路径出炉,康妮又西修
康芮来势汹汹,“中央气象署”最新预报路径显示,台风极可能在东部登陆,并在台湾上空北转,再从北部一带出海。
-
康妮台风肆虐兰屿,阵风达17级呈“毁灭性破坏”
康妮台风进逼,台气象署发布台风强风告警,台东县兰屿气象站今(31)日清晨5时许测得阵风逾17级,风速每秒72.8公尺,风速仪当场阵亡。
-
台风来袭1颗高丽菜150元起,婆妈叹“菜比肉还贵”
台中市今天因为台风停班停课,市内包括东区建国市场各大菜市场都有营业,许多民众直奔市场采买生鲜蔬果,但前阵子才刚回稳的菜价,因为台风又涨了不少。
-
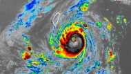
康妮升强台只花18小时,最新风场图曝光,粉专:真的不妙
强台康妮目前中心位在鹅銮鼻东南东方约250公里处,其特大暴风圈已垄罩台东与恆春半岛,气象粉专也贴出康妮最新的风场图,直呼真的不妙。
-
潭美残涡酿海南滑坡3死,30年最大强台风“康妮”袭台
超强台风“康妮”携狂风暴雨吹袭台湾,预计将于今日中午至傍晚在花莲以南登陆,预计将成为近30年来袭台暴风圈半径最大风暴。
-
兰屿平均风17级!阵风破表,合欢山测到破纪录14级
强烈台风康妮主体还没上岸,外围阵风已横扫一片,气象粉专“台湾台风论坛|天气特急”指出,合欢山气象站测到夸张的14级风,刷新该站阵风纪录。
-
太早关水门恐害交通雍塞,蒋万安:今晚10点再关
强烈台风康妮来势汹汹,几乎全台湾都预计将笼罩在暴风圈范围内。
-
康妮逼近“台中放台风假”?卢秀燕:晚间10点宣布
今年第21号台风“康妮”30日清晨发布陆上台风警报,卓荣泰昨要求气象署晚间9点再各县市风雨预报,让县市政府9点后再做最后决策。市长卢秀燕30日宣布,未来台中市政府在陆上台风警报发...
-
台风来袭推升菜价,台北蔬菜价格再涨至48元
康妮台风早上8时升级为强台,气象署一早发布4县市大雨特报,菜价因承销人预防性囤货,推升价格;根据台北农产运销公司所提供的行情资讯显示,今(30)日蔬菜每公斤均价再涨至48.2元(...
-
台风来高雄哪最不会淹水?在地人齐推1地:20年没淹过
最近几次台风,都造成高雄大淹水,在地粉专表示,淹到都怕了,问高雄哪个行政区最不会淹,多数人一致推苓雅区,在地20年的高雄人说,苓雅区多年来从未淹水,是居住首选,也有人提到大...
-
全台都进入康妮暴风圈,专家曝风雨最大时间
康妮已于今早8点增强为强烈台风,天气风险分析师李至晟表示,康妮暴风圈在今深夜开始接触东半部陆地后,很快地会在明天白天中心登陆东南到恒春半岛,预测全台都可能会进入暴风圈,各...
-
台风搅局!高雄巨型南瓜灯仅展5天就落幕,民众:好可惜
高雄万圣节派对上周六登场,展出超巨型南瓜鬼灯,首日吸引8万人朝圣,却因为突如其来大雨,民众瞬间涌入捷运站险酿踩踏事件引发抱怨。
-
康妮升级强台!陆警范围扩大,新增花莲、屏东
康妮台风持续增强,“中央气象署”今天上午8点已将康妮升级为强烈台风,并扩大陆警范围,除了原本的台东及恒春半岛之外,新增了花莲、屏东。
-
卖场蔬菜区被狂扫,惨剩“1叶菜类”独留架上,网叹:宁愿吃肉
台风康妮来势汹汹,民众纷纷涌进卖场抢购物资、囤积粮食,许多人都错愕说,货架空空如也的画面又再度上演,更有人下午5点光顾就已经所剩无几,重现山陀儿袭台的既视感,不过有网友发...
-
别被康妮水汪汪大眼骗!粉专揭台风1变化:已经开始挑战巅峰了
康妮迅速整合,增强为中度台风上限,持续朝西北方向前进,预估周四将从台东登陆,康妮特征为特大的暴风圈以及硕大的台风眼,对此气象粉专表示,康妮的大眼已经开始紧缩,代表持续增强...
-
康妮挑战强台登陆,今晚风雨开扫,4地最猛
中台康妮持续逼近台湾,台气象部门今晨5点半发布陆上台风警报,首波警戒区为台东及恒春半岛,预计明(31日)中午前后从台东登陆。
-
康妮登陆前夕!绿岛饱受狂风暴雨轰炸,居民吓坏:没法安心入睡
强台康妮逼近台湾,暴风圈已进入宜兰、花莲、台东及台中以南陆地,台气象署表示,今(31)日台风中心预计在今天下午从台东附近登陆。
-
在家躲康妮台风,台南各大百货公司今暂停营业
强台康妮来势汹汹,台南市31日停班停课,包括远百、南纺购物中心、新光三越、三井 OUTLET等各大百货公司一早陆续宣布今天暂停营业一天。
-
台北3米巨树不抵强风倒塌,2骑士险遭压自摔受伤
受康妮台风影响,台北市大同区重庆北路与昌吉街交叉口,今(31)日清晨5时41分有一棵直径30公分、长度3公尺的路树发生倒塌,并分别造成20岁女骑士、40岁男骑士经过时不慎自摔。
-
兰屿测站阵亡!康妮核心逼近陆地,风雨猛烈增强
强台康妮将在中午前后从台东登陆,气象粉专表示,康妮眼墙置换仍在进行,核心将进入东部陆地,风雨猛烈增强,兰屿飙出平均风17级,阵风超过17级,直接破表,当地测站已阵亡。
-
强台康妮发威!台北大直“6米高树干倒塌”,压垮红绿灯
强台康妮侵袭全台,风雨笼罩一整个晚上。
-
康妮风雨正要开始,比预期猛!粉专示警:千万别出门
强台康妮逼近,兰屿持续6小时刮17级以上阵风,威力惊人,气象粉专提醒民众,对于中部以北的民众来说,这会是10年来最有感的台风,现在风雨正要开始,台北市受地形影响,已出现10级阵...
-
强台风康妮狂奔!暴风圈已垄罩半个台湾,12县市豪雨特报
强烈台风康妮目前中心位在鹅銮鼻东南东方约180公里海面上,以每小时28转19公里速度持续朝西北前进,其暴风圈已经垄罩东部、南部地区,兰屿更出现17级狂风,预估今(31日)下午2时至3时...
-
康妮扑台!嘉义市府严阵以待,2时间点决定台风假
强台康妮直扑台湾,台“气象署”今天发布海上陆上台风警报,嘉义市政府总动员做防台整备,市长黄敏惠在嘉义市灾害应变中心开整备会议时提到,市府将视今晚7时、9时的风雨预测,再决定...
-
20年来最猛登陆台风,康妮袭台,全台超有感
强台康妮暴风半径达320公里,气象粉专表示,台风周遭环境条件很好,明天(31日)将以强台巅峰之姿侵袭台湾,全台都相当有感,准备迎接近20年范围最大的登陆台风。
-
暴风雨前的宁静?绿岛柴口海浪悠悠,网友:又美又怕
康妮台风直扑东台湾,台东县兰屿乡、绿岛乡今(30)日停班停课,清晨却如暴风雨前的宁静,东海岸即时影像直播绿岛柴口浮潜区浪况,海浪悠悠,东部海岸风景区管理处处长林维玲直说“又...




